Filtrar por:

venta en Siquiman terrenos de 1000 m2 cerca de Carlos Paz en Venta-Vª Parque Siquiman

Ref : 637
Precio: US$ 15.000

¿Más información? Dejanos un mensaje

CONSULTANOS AQUI
POR WHATSAPP
Dirección :
Los Cocos, Villa Parque Síquiman, Córdoba, Argentina
5152
Pais: Argentina
Provincia: Córdoba
Localidad: Vª Parque Siquiman
Compartir la propiedad en:
Detalles :
Sup. terreno 1.000 m²
Servicios:
  • ENERGÍA ELÉCTRICA
  • RECOLECCIÓN DE RESIDUOS
Descripcion:

TERRENOS EN VENTA EN VILLA PARQUE SIQUIMAN 

Pagani Giuliani te ofrece 6 TERRENOS cada uno de  1000 m2  sobre calle Los Cocos casi esquina Las Pampitas. Se venden juntos o separados. 

A solo 15 minutos del CUCÚ y 1.300 m de la ruta 38, rodeado de nuevas construcciones y complejos turísticos.   

 

OPCION 1: PRECIO CONTADO 10% DESCUENTO.   entrega inmediata.

OPCION 2: ENTREGA 60% EL SALDO 12 CUOTAS  puede presentar una propuesta razonable   (posesión y escritura se entrega al finalizar las cuotas) 

PRECIOS: 

LOTE n° 100    (20m  x 50m)   sup 1000 m2  U$S 20.000 

LOTE n° 101  (20 m x 50 m) sup 1000 m2   U$d 19.000

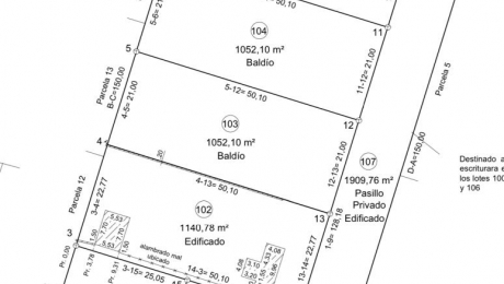
LOTES  n° 103  y  n° 104 ( 21 m x 50.10 m)  1052.10 m2  cada uno U$d  17.000

LOTES n° 105 ( 21 m x 50.10 m)  sup 1052.10 m2  U$S 16.000.- 

LOTE  n° 106  (21.82 m x 50.10 contiene una medialuna que corresponde cul- de- sac ) Sup 1108.16 m2    U$d 15.000

Cuenta con apertura de calle interna (servidumbre de paso)

Ver ubicación de cada lote, en el plano que se adjunta.

Plano de subdivisión aprobado Catastro Córdoba 

 

SERVICIOS sobre calle Los Cocos:

  • energía eléctrica
  • Recolección de Residuos
  • Alumbrado Público.

ESTADO JURÍDICO: 

  • Escritura
  • Impuestos al día

UBICACIÓN:

Calle: Los Cocos

Localidad: Villa Parque Siquiman

Provincia de Córdoba.

Encuentre la ubicación satelital en esta publicación.

 

Oficina: Av. San Martín 703, Lunes a Viernes de 9 a 12:30 y de 17 a 20 horas. Villa Carlos Paz, Córdoba, Argentina.

Pagani Giuliani Inmobiliaria  especialista en la venta de departamentos terminados, en pozo,  lotes, y otras propiedades. Contamos con las mejores opciones en Villa Carlos Paz, ofreciendo una amplia variedad de inmuebles: lotes, casas, dúplex y departamentos.

Somos una familia de profesionales con un objetivo claro: brindarle un servicio integral y acompañarlo en cada paso para encontrar la propiedad ideal.

¡Gracias por confiar en nosotros y elegirnos entre las inmobiliarias de Carlos Paz! 

Contactos:

  •  Romina Pagani         3541 51 52 53  Ventas-  tasaciones
  •  Raúl Giuliani             3541 51 97 53  administraciones 
  •  Martiniano Giuliani    3541 69 00 00  fotos e imágenes con dron. 
  •  Ernestina Giuliani     3541 53 27 49  Diseñadora de interiores
  •  Donatella Giuliani     3541 31 77 77 asesoramiento jurídico                 
  •  Laureano Giuliani     3541 30 11 00  Parques y jardines

 oficina Av. San Martín 703 Villa Carlos Paz, Córdoba, Argentina.

Facebook: https://www.facebook.com/propiedadespagani

Instagram: https://www.instagram.com/pagani_propiedades/

Geolocalización :

Volver al listado

TE FACILITAMOS ESTOS ENLACES ÚTILES

¡DEJANOS UN MENSAJE!

Iniciar sesión en su cuenta